По отношение на маймунската шарка проф. Аргирова заяви, че не е нужно да има масова ваксина

Свързани новини

30.05.2022 09:56

К19 се завръща наесен: Аргирова

Видян 2067 пъти | Коментари 3
Гласували 0 рейтинг: 0.0000
много слаба слаба добра много добра страхотна

“Лятото ще бъде спокойно, но през септември следващата Covid вълна се завръща”, прогнозира пред Nova вирусологът и съветник на премиера Кирил Петков проф. Радка Аргирова.


 


В тази връзка съвсем скоро ще бъде обявена втората бустерна доза, или четвъртата инжекция срещу К19. Тя ще бъде препоръчителна първо за възрастните хора над 65 г. и за лицата с проблеми на имунната система.


 


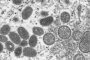
По отношение на маймунската шарка, проф. Аргирова заяви, че не е нужно да има масова ваксина. Тя посочи, че в България не сме регистрирали тази болест и страната ни не би трябвало да е заплашена. „Положението е такова, че хората много пътуват, предпочитат се екзотични дестинации. Шарката се пренася от човек на човек”, каза вирусологът.


 


Във връзка с острия хепатит при децата, експертът успокои, че у нас още такъв регистриран случай няма.


Аргирова се оплака, че е получавала заплахи по телефона, че ще пострада, ако продължава да говори лъжи за К19. Съветникът на премиера уточни, че вирусолозите в цял свят се оплакват от подобни предупреждения.


 


„Получих от няколко граждани заплахи, че ако продължа да говоря неща, които цитирам „сама си измислям субварианти на коронавируса, всичко това щяло да свърши много лошо”, каза специалистът. Проф. Аргирова уточни, че не изпитва страх.



Добави в:

Facebook facebook.com

19min.media си запазва правото да изтрива коментари, които не спазват добрия тон.

Толерира се използването на кирилица.

  • 003 Anonimen 30.05.2022 19:25

    Тази дебела свиня псевдопрофесор не миряса...

  • 002 бигмафия 30.05.2022 10:43

    На това сенилно бабе или звездите му говорят или ще пусне пак нещо като в далечния соц, за което остана ненаказана и вече е професор и чак пък съветник на про100кирчо, дето викат хората "намерило си гърнето похлупак"

  • 001 Тихомир Томов 30.05.2022 10:23

    Долна грозна пачавра . Поне баба Яга да се гордее с нея !

RSS

Най-нови

Милов със злато от европейското по класическа борба

Милов със злато от европейското по класическа борба

Кирил Милов излезе в мача за златото в ...

реклама

към тв програма тв програма

бТВ Екшън 22 февруари 21:00ч.

Отново на 17 2009 г. ‧ Комедия/Фентъзи ‧ 1 ч 42 мин

Режисьор: Бър Стиърс (Burr Steers)
В ролите: Зак Ефрон Майк О'Донъл Матю Пери (Майк О'Донъл) Матю Пери Майк О'Донъл Лесли Ман (Скарлет) Лесли Ман Скарлет Томас Ленън (Нед) Томас Ленън

виц на деня

Млада семейна двойка е на излет в планината. Седнали са на тревата и си припомнят годините, в които още не са били женени. До тях си играе шестгодишният им син.

- Помниш ли, мила, на това място сме идвали преди седем години и точно тук правихме любов…

- Аз къде бях по това време, татко? – прекъсва го детето.

- Как да ти кажа, моето момче, на идване те носех аз, на връщане – майка ти!

към хороскоп хороскоп

козирог